ขายที่ดินสวยใกล้สนามบิน ภูเก็ต 756.3 ตร.วา Tel: 0980320062 Line: 33-g
รายละเอียดสินค้า
ถลาง ภูเก็ต
23 มิ.ย. 2565
ขายที่ดินสวยใกล้สนามบินนานาชาติ ภูเก็ต ห่างจากสนามบินประมาณ 1.5กิโลเมตร
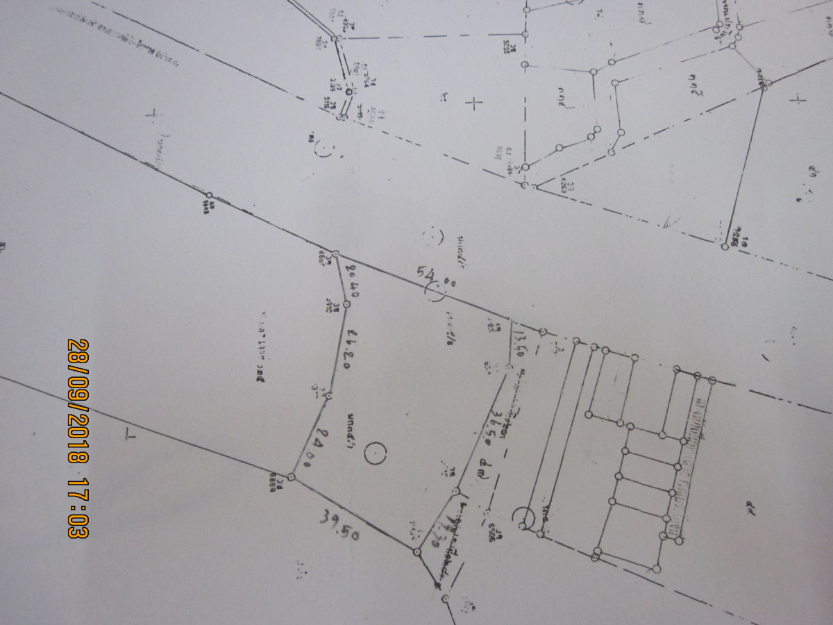
ขนาด 756.3 ตารางวา (เกือบ 2 ไร่) หน้ากว้างติดถนน 55เมตร
ถมแล้ว พร้อมก่อสร้างได้เลย ประปา ไฟฟ้าถึง โซนสีเหลือง สร้างอาคารสูงได้ถึง 23เมตร
ร้งวัดเรียบร้อยแล้ว ติดถนนสาย 4031 กำลังมีโครงการขยายถนน ซึ่งของเราเว้นระยะเรียบร้อยแล้ว เหมาะกับการลงทุนมากๆ
Special Price: ราคา 30 ล้าน (ทั้งแปลง)
สนใจติดต่อได้ที่ 0918210845
บ้าน/ที่ดินอยู่ในเขต: ต.สาคู อ.ถลาง จ.ภูเก็ต
รายละเอียดบ้าน/ที่ดิน: ขนาด 1 ไร่ 3 งาน 56 ตาราวา
เอกสารสิทธิ์ที่ดิน: โฉนดที่ดิน (น.ส. 4 จ)
- ที่ดินแปลงสวยเหมาะสำหรับการทำ อพาร์ตเม้นท์, warehouse, Office Buildings โครงการ อาคารพานิชย์หรือซื้อเกร็งกำไร
สถานที่ใกล้เคียง
- สนามบินนานาชาติภูเก็ต 1.8 km
- หาดในยาง, หาดทรายแก้ว
- อุทยานแห่งชาติสิรินาถ
- สวนน้ำ splash jungle
- วัดป่าตอง
- Blue Canyon Country Club
- Laguna Phuket Golf Club
- Marriot Naiyang Hotel
ขนาด 756.3 ตารางวา (เกือบ 2 ไร่) หน้ากว้างติดถนน 55เมตร
ถมแล้ว พร้อมก่อสร้างได้เลย ประปา ไฟฟ้าถึง โซนสีเหลือง สร้างอาคารสูงได้ถึง 23เมตร
ร้งวัดเรียบร้อยแล้ว ติดถนนสาย 4031 กำลังมีโครงการขยายถนน ซึ่งของเราเว้นระยะเรียบร้อยแล้ว เหมาะกับการลงทุนมากๆ
Special Price: ราคา 30 ล้าน (ทั้งแปลง)
สนใจติดต่อได้ที่ 0918210845
บ้าน/ที่ดินอยู่ในเขต: ต.สาคู อ.ถลาง จ.ภูเก็ต
รายละเอียดบ้าน/ที่ดิน: ขนาด 1 ไร่ 3 งาน 56 ตาราวา
เอกสารสิทธิ์ที่ดิน: โฉนดที่ดิน (น.ส. 4 จ)
- ที่ดินแปลงสวยเหมาะสำหรับการทำ อพาร์ตเม้นท์, warehouse, Office Buildings โครงการ อาคารพานิชย์หรือซื้อเกร็งกำไร
สถานที่ใกล้เคียง
- สนามบินนานาชาติภูเก็ต 1.8 km
- หาดในยาง, หาดทรายแก้ว
- อุทยานแห่งชาติสิรินาถ
- สวนน้ำ splash jungle
- วัดป่าตอง
- Blue Canyon Country Club
- Laguna Phuket Golf Club
- Marriot Naiyang Hotel
หมายเลขประกาศ : 111463



